Dorian toca tierra en las Bahamas; evacuan Florida
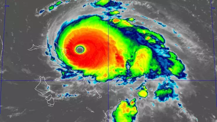
La frontera del ojo de este catastrófico huracán está a punto de azotar las islas Ábaco, Bahamas, con vientos devastadores.
Foto: NHC_Atlantic
Elhuracán Dorian tocó tierra este 1 de septiembre en el noroeste de las Bahamas y se espera que golpee las islas con hasta dos días de lluvias torrenciales, olas altas y vientos potentes.
En Florida,Estados Unidos ,miles de personas fueron evacuadas antes de que toque tierra en territorio norteamericano.
El Centro Nacional de Huracanes (NHC), con sede en Miami, dijo que Dorian se encontraba sobre Abaco como huracán de categoría 5 el domingo con vientos máximos sostenidos de 285 kilómetros por hora (km/hora) y ráfagas de más de 322 km/hora.
Después de azotar las Bahamas, se espera que se desplacehacia el noroeste hacia Florida, con el NHC elevando su alerta el domingo para partes de la costa este del estado a una advertencia de tormenta tropical.
Hurricane #Dorian Advisory 33A: Eye of Catastrophic Hurricane Dorian Over the Abacos Islands In The Bahamas. https://t.co/VqHn0u1vgc
— National Hurricane Center (@NHC_Atlantic) September 1, 2019
NEW: #Dorian is now a category 5 #hurricane with 160 mph sustained winds. The eyewall of this catastrophic hurricane is about to hit the Abaco Islands with devastating winds. Next advisory: https://t.co/tW4KeFW0gB pic.twitter.com/oFspgN0XbT
— National Hurricane Center (@NHC_Atlantic) September 1, 2019
La noticia continúa, mantenla encendida. Descarga nuestra app .
pfp/lhp